Guide d'identification d'insectes du Québec

Ordre : Coléoptères  (Coleoptera)
Famille : Cérambycidés (Cerambycidae)
Note : 
Pour identifier les insectes de cette famille, il est suggéré d'utiliser le guide de Douglas Yanega ``Field Guide to Northeastern Longhorned Beetles``. 
___________________________________

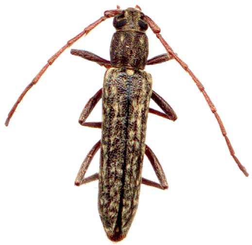
Sous-famille : Cérambycinés (Cerambycinea)


Genre :  Anelaphus
Espèce :  parallelus  (Newman)
Nom commun :  Le Coupe-rameau du chêne* (8-20), Oak twig pruner
Note :  *Le nom commun était autrefois ''Coupe-rameau du Caryer'' (Hickory twig pruner) à cause d'une confusion avec l'espèce Anelaphus villosus (F.).

Capturé par Yves Dubuc à Gananoque (Ontario) le 23 juin 2003 au piège UV. L'espèce vit aussi au Québec.
_____________________________________

maison.jpg (2231 octets)