Guide d'identification d'insectes du Québec

Ordre : Neuroptères (Neuroptera)
Famille : Mantispidés (Mantispidae), Mantisfly family
Note :  Nous avons deux espèces de Mantispidés au Québec.
_______________________________





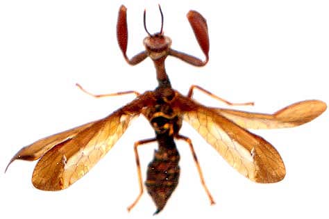
Genre :   Climaciella
Espèce :   brunnea  (Say, 1824)
Nom commun :   Le Mantispide brun (13mm)
Note :  Capturé par Michel Racine à Arthabaska (Victoriaville) en fauchant de la Verge d'or (Solidago) à l'aide d'un filet le 10 septembre 2000.

Malgré les apparences, il ne s'agit pas d'une petite Mante religieuse, mais bien d'un neuroptère. La nymphe parasite les oeufs d'araignées et l'adulte mange de petits insectes sur les plantes comme le fait la mante. La forme des Mantispidés et des Mantidés a évolué d'une manière similaire; c'est l'évolution parallèle

Merci de fournir vos données de captures pour compléter le tableau ci-bas ! Assurez-vous qu'il ne s'agit pas d'une petite nymphe de mante : celles-ci n'ont pas d'aile, alors que le Mantispide brun adulte en est pourvu. De plus, sachez que la couleur de la Mante religieuse est variable d'un spécimen à l'autre; elle peut être brune, verdâtre ou verte.

Tableau de captures du Mantispide brun  (Je n'ajoute plus de données à ce tableau)

Localité Date Notes Collectionneur
St-Louis-de-Blandford
(Arthabaska)
10-IX-2000 Capturé en fauchant de la Verge d'or (Solidago) 
à l'aide d'un filet.
 Michel Racine
 Notre-Dame-du-Mont-Carmel (Mauricie)  9-VII-2002

 Le spécimen capturé se trouvait sur le solage de notre maison.

 Chantal Fortin
 Rigaud
(Vaudreuil)
 5-VII-2003 Par battage de branches à demi séchée de Pin blanc en bordure de forêt.    Michel Racine
 Saint-Jérôme
(secteur Lafontaine)
 25-VI-2001 Capturé autour de la maison, dans la pelouse (notre résidence familiale se trouve à côté d'un boisé et d'un jardin)  Viviane Thibault-Liboiron
 St-Côme, Rt #343  30-VI-2007 Capturé sur une plante à 14°C  Michel Lauzon
       
       


____________________________________

maison.jpg (2231 octets)